family CERAMBYCIDAE Latreille, 1802
subfamily LEPTURINAE Latereille, 1802
tribe Rhagiini Kirby, 1837
genus Evodinellus Plavilsthikov, 1915
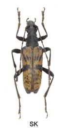
Evodinellus clathratus (Fabricius, 1792)
subgenus Brachytodes Planet, 1924












Velikost 10-12 mm
Bionomie. Horské louky při okrajích porostů, okraje cest apod. Podle Šváchy (1988) larvy žijí pod odchlíplou kůrou mrtvých větví nebo kmenů. Před druhým přezimováním vypadnou na zem, kuklí se v zemi a v kukelním stadiu přezimují. Pravděpodobně dvouletý vývoj. - Imága se vyskytují V.-VIII., maximum počátek VII. na různých květech, např. Spirae, Plantago, Apiaceae.
Živné rostliny - Picea, Fagus, Salix.
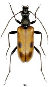
Evodinellus borealis (Gyllenhal, 1827)
subgenus Evodinellus Plavilsthikov, 1915





Velikost 7-10,5 mm.
Bionomie. Vývoj larev pod kůrou suchých stromů. Šířka chodeb v dospělosti larev dosahuje cca 8 mm. Larva pak vykouše v kůře oválný otvor, kterým vyleze po prvém zimování v VII. až VIII. ven a zaleze do povrchové vrstvy humusu, kde si udělá kukelní komůrku, v které se zakuklí. Některé larvy zimují pod kůrou ještě druhým rokem a opouští ji ke kuklení na jaře následujícího roku. V Polsku byly nalezeny larvy pod kůrou větví vyvrácené Picea. Větve byly blíže k vrcholku, kůra již byla lehce shnilá, dřevo suché. - Imága se líhnou na jaře a půdu opouštějí v V. - VII., maximum v VI. Vyskytují se na různých květech.
Živné rostliny - Abies, Pinus sibirica, Picea, Pinus.
Variabilita. Černé skvrny mohou být redukované, takže žlutá barva krovek převládá, nebo naopak převládá černá.